横浜市旭区白根6丁目 新築戸建
新築戸建
鶴ケ峰駅
4,580万円
- 建物面積
- 82.0㎡
- 土地面積
- 107.08㎡
- 所在地
- 横浜市旭区白根6丁目
- アクセス
- 相鉄本線鶴ケ峰駅より 徒歩18分
担当者のつぶやき
「鶴ヶ峰」駅徒歩18分。新築分譲住宅全2棟誕生♪大容量の収納が可能なWICや玄関にはSIC・床下収納など収納豊富で使いやすく住みやすい間取り!!カースペースあります。
【1号棟】4,580万円☆角地・3LDK・リビングイン階段で自然と家族のコミニュケーションがとれます♪
【2号棟】4,580万円☆2SSLDK・LDKは広々17.25帖
徒歩10分圏内に学区の小学校・中学校にあり通学も安心の立地。
全居室収納付き♪
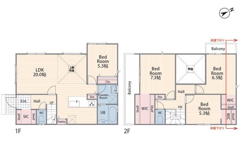
間取り/区画図
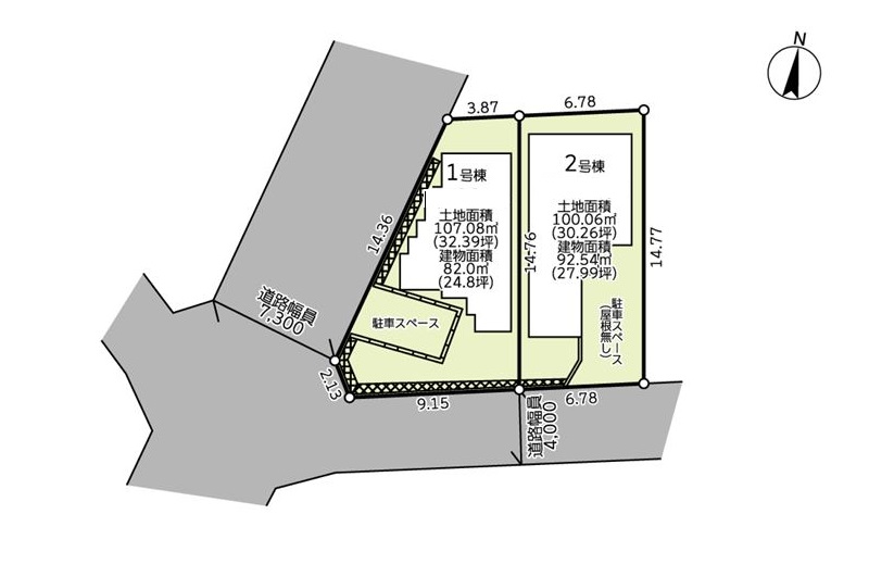
配置図
この物件のお問い合わせ
ローンシミュレーション
※返済年数35年、金利0.196% (変動金利) で算出しています。
※借入については金融機関の所定の審査があり、審査の結果によりご利用できない場合があります。
※金利は優遇金利適用の場合です。
※購入の際には別途諸費用が必要となります。 詳しくはスタッフまでお問い合わせ下さい。
物件詳細情報
| 種別 |
新築戸建 |
価格 |
4,580万円 |
| 所在地 |
神奈川県横浜市旭区白根6丁目 |
アクセス |
相鉄本線鶴ケ峰駅より 徒歩18分 |
| 築年月 |
|
新築/中古 |
新築 |
| 建物面積 |
82.0㎡ |
計測方式 |
壁芯 |
| バルコニー |
|
向き |
|
| 建物構造 |
木造 |
建物階数 |
地上2階 |
| 間取内容 |
1階 LDK17.1畳 / 2階 洋室6.5畳 / 2階 洋室4.5畳 / 2階 洋室5.0畳 |
| 駐車場 |
有 |
| 引渡/入居時期 |
2026年02月下旬 |
現況 |
未完成 |
| 地目 |
宅地 |
用途地域 |
第一種低層住居専用 |
| 都市計画 |
市街化区域 |
地勢 |
|
| 土地面積 |
107.08㎡ |
土地面積計測方式 |
|
| 建ぺい率 |
50% |
容積率 |
100% |
| 土地権利 |
所有権 |
接道状況 |
角地 |
| 接道方向1 |
南 |
接道間口1 |
9.15m |
| 接道種別1 |
公道 |
接道幅員1 |
4.0m |
| 接道方向2 |
西 |
接道間口2 |
14.36m |
| 接道種別2 |
公道 |
接道幅員2 |
7.3m |
| 小学校 |
不動丸小学校
|
中学校 |
鶴ケ峯中学校
|
| 設備・条件 |
角地 システムキッチン カウンターキッチン 食器洗い乾燥機 床下収納 W.INクローゼット 都市ガス 公営水道 排水下水 駐車場有 バルコニー 【建築確認番号:KBI-YKH25-10-2329号他】 |
| 取引態様 |
仲介 |
お問い合せ番号 |
S3782 |
この物件のお問い合わせ
この物件を見た人は
他にこんな物件を見ています